首页>信息公开>城市规划公示>项目公示>批后公告
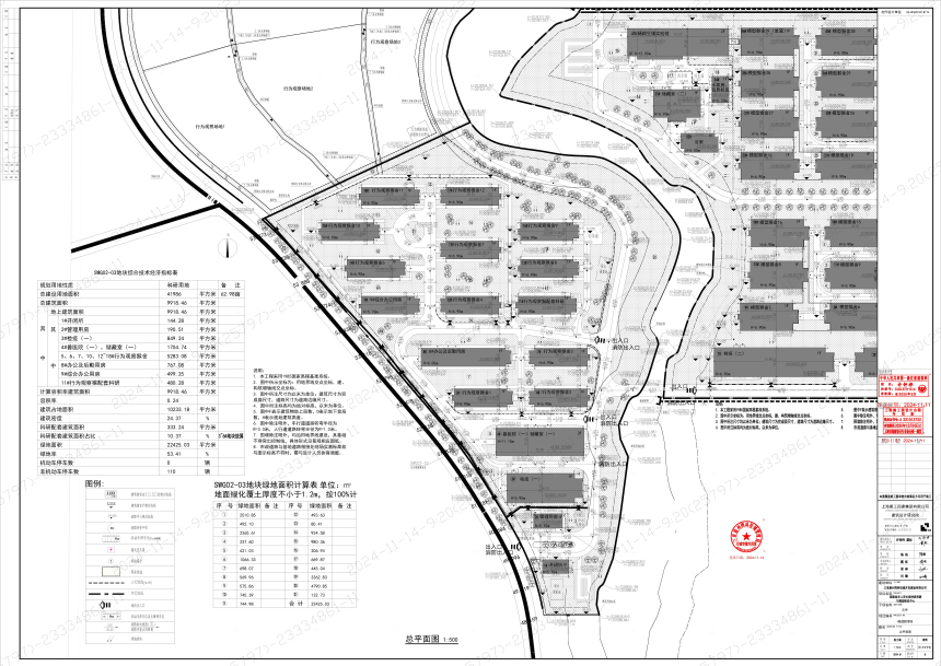
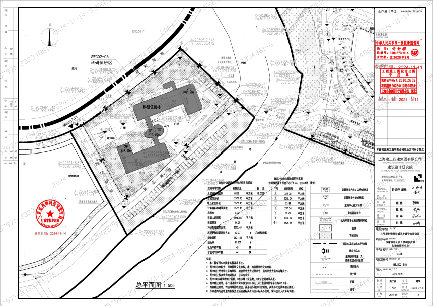
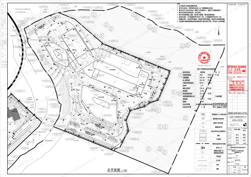
项目名称: 国家级非人灵长类种质资源与模型研发中心项目的建设工程批后公示
公示开始时间: 2025-09-22 公示结束时间: 2025-10-22
公示来源: 三亚市自然资源和规划局 公示状态:

项目详情




























扫一扫在手机打开当前页

版权所有@三亚市自然资源和规划局   中文域名:三亚市自然资源和规划局.政务

主办:三亚市自然资源和规划局   开发维护:三亚市营商环境综合服务中心

ICP备案编号:琼ICP备14000806号-1    政府网站标识码:4602000050   琼公网安备琼公网安备 46020302000122号